鄭州金岱生命健康科技園
鄭州金岱生命健康科技園鳥瞰效果圖△
河南新月實業有限公司發布的鄭州金岱生命健康科技園EPC總承包及監理項目一標段由鄭州新城建設工程有限公司與鄭州騰飛建設工程集團有限公司組成的聯合體中標,工程概算1.5億元。鄭州新城建設工程有限公司是由鄭州騰飛建設工程集團有限公司與國有企業----鄭州市管城建設開發有限公司合作共同出資成立的混合所有制建筑企業,成立于2021年7月1日。具有建筑工程、市政工程、機電工程施工總承包二級資質。
鄭州金岱生命健康科技園新建組團效果圖△
鄭州金岱生命健康科技園為小微企業園。項目總用地面積為22264.51㎡,其中新建地上建筑面積約為40510.46㎡,新建地下建筑面積為11836.61㎡,地上建筑總共16棟,主要功能為小微企業總部;地下建筑主要功能為停車場及人防。該項目由騰飛建工集團設計院負責設計(初步設計、報建圖、施工圖、綠色建筑、BIM專項設計、景觀、智慧園區及人防),由鄭州新城建設工程有限公司負責施工。
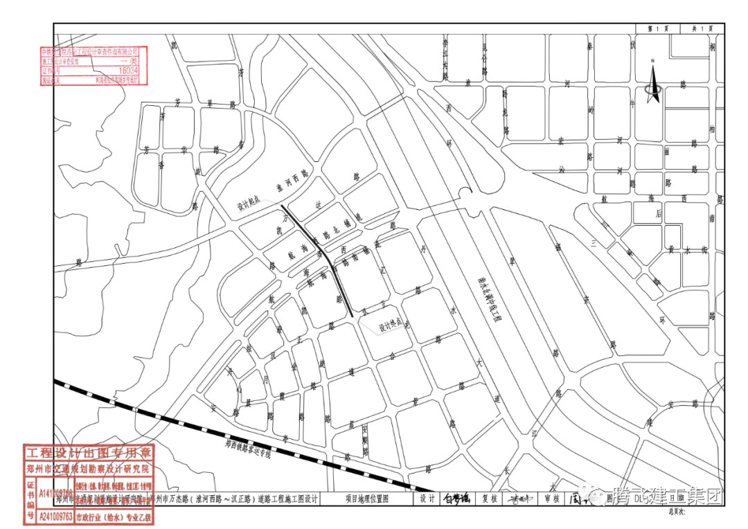
萬杰路(淮河西路-漢正路)
萬杰路(淮河西路-漢正路)道路一標段工程設計圖△
萬杰路(淮河西路-漢正路)道路一標段工程概算約為4392.8萬元。項目北起淮河西路,南至漢正路,規劃道路全長1033.924米,扣除淮河西路、航海西路、漢正路交口范圍,實際實施長度932.135米,規劃紅線寬40米。主要建設內容包括道路、雨水、污水、交通、照明、綠化、灌溉、電力等工程。
萬杰路(淮河西路-漢正路)位于常西湖新區的南部。常西湖新區核心區以“四個中心”為主的公共文化類項目已相繼投入使用,周邊基礎配套設施的建設陸續開展,已經成為鄭州市開發建設的重點地帶。
部分施工力量展示▲
懷匠心,筑精品!騰飛建工集團將緊盯項目建設任務不放松,充分發揮集團全產業鏈優勢,以強大的的施工力量為依托,市政建設、建筑施工、公路建設、地產開發、建材(含裝配式建筑)生產等全面發力,攻堅克難,真抓實干,助推企業發展邁入新階段、踏入新臺階,為鄭州市國家中心城市建設做出騰飛貢獻,為河南省經濟社會發展增光添彩!